Hier ist Raum für Ihren persönlichen Wohntraum!
Oggersheim-Melm
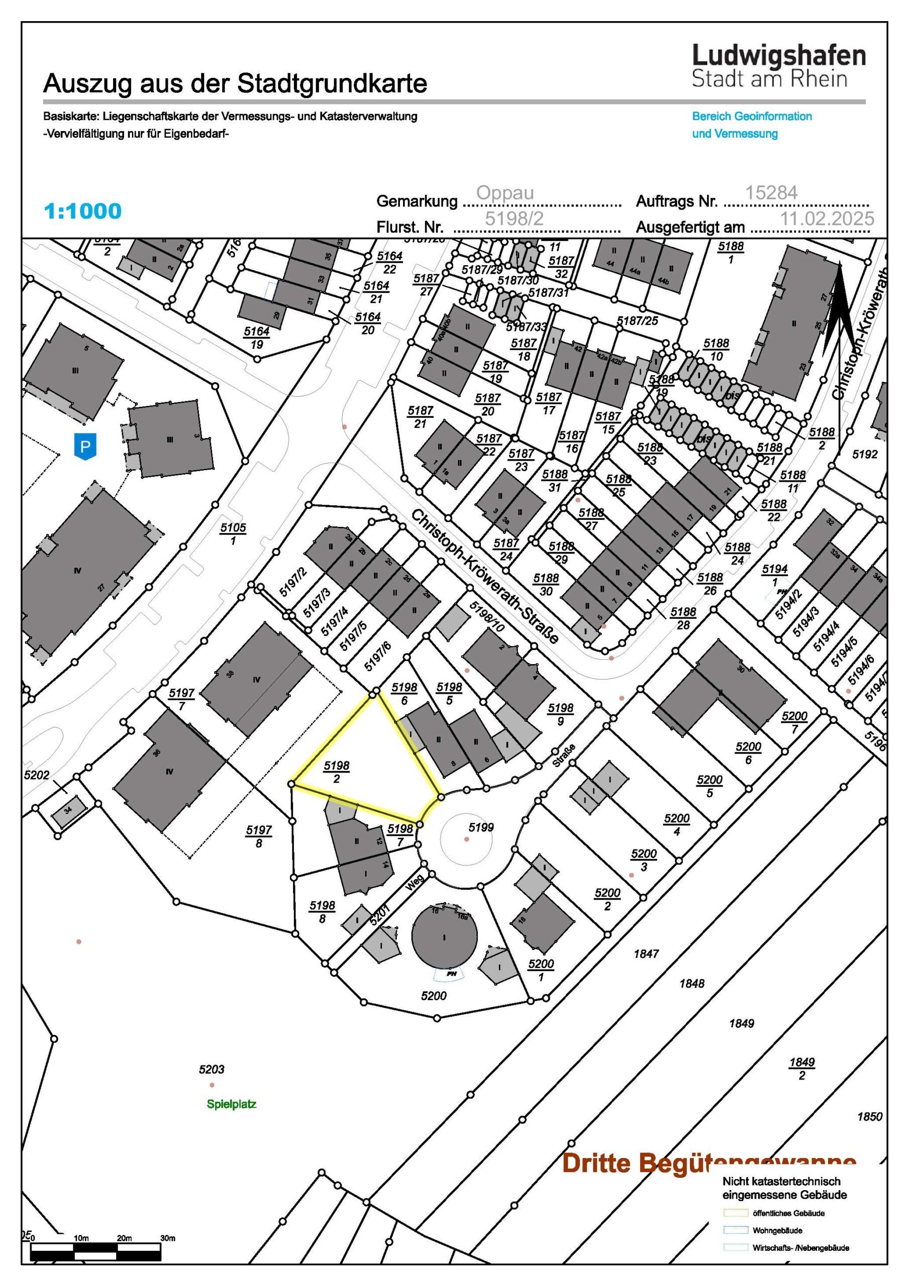
Im beliebten Neubaugebiet Ludwigshafen-Melm bieten wir eines der letzten verfügbaren Grundstücke mit einer Fläche von ca. 517 m² zum Kauf an. Das Wohngebiet zeichnet sich durch eine hervorragende Infrastruktur und ein harmonisches Wohnumfeld aus, was es insbesondere für Familien zu einem beliebten Standort macht.
Der vorhandene Bebauungsplan ermöglicht eine individuelle Gestaltung Ihres persönlichen Wohntraums. Mit der offenen Bauweise wird Ihnen die Möglichkeit geboten, ein freistehendes, großzügiges 1-2 Familienhaus nach Ihren persönlichen Vorstellungen in hervorragender Lage zu errichten.
Für das Grundstück gilt der ursprüngliche Bebauungsplan Nr. 554, den wir Ihnen bei Interesse gerne zukommen lassen. Haben wir Ihr Interesse geweckt? Gerne erläutern wir Ihnen weitere Details in einem persönlichen Gespräch und freuen uns auf Ihre Anfrage!
Objektdetails
Ort: Oggersheim-Melm
Kaufpreis: 259.000,00 Euro
Grundstück: 517 m²
Käuferprovision: 4,16% inkl. 19% MwSt. vom Kaufpreis
Typ: erschlossenes Baugrundstück
Frei ab: Sofort
Ausstattung
Lage
In Verkehrsberuhigter Lage (Spielstraße). Direkt an Oggersheim gelegen, hat sich das junge Neubaugebiet Melm zu einer beliebten Wohnadresse entwickelt – insbesondere für Menschen, die naturnahes Wohnen schätzen. Der namensgebende Weiher, einst als Freizeitbad genutzt, verleiht dem Quartier seinen besonderen Charakter. Ein starkes Gemeinschaftsgefühl, eine gut ausgebaute Infrastruktur sowie zahlreiche Freizeitangebote rund um das Weihergebiet sorgen für eine hohe Lebensqualität. Geschäfte des täglichen Bedarfs sind bequem und schnell erreichbar.







